
For radiant skin that lets you shine
Healthy, clear-looking skin is always on-trend. But as we age, our texture and tone can change. Meet Photofabulous- an optimally tailored treatment that addresses the early signs of aging and provides noticeable results for pigmentation, age or sun spots, fine lines, and overall skin appearance.

Reduce redness and pigmentation all in one treatment
By using both the Stellar M22™ IPL and ResurFX™ technologies sequentially in the same treatment session, both skin pigmentation and texture can be treated, simultaneously.
Stellar M22 IPL removes both unwanted pigmentation and vascular lesions from the skin, while the ResurFX™ fractional laser stimulates the production of new collagen and elastin fibers in the deeper layers of the skin. Initiating new collagen production is the key to having more radiant, youthful-looking skin.
Makeup isn’t long lasting, but Photofabulous skin is.
Photofabulous skin is always camera ready

There’s no need to feel unconfident in your own skin. With Photofabulous, you can say goodbye to uneven skin tone and say hello to radiant skin that lets you shine.
The Stellar M22 Photofabulous treatment is a complete skin rejuvenation solution that empowers physicians to offer remarkable results to address a wide range of aging skin concerns like age and sun spots, fine lines, acne scars, and uneven texture and skin tone in one treatment session.
Our unique rejuvenation treatment utilizes two technologies sequentially- IPL (Intense Pulsed Light) and ResurFX non-ablative skin resurfacing so that both skin tone and texture can be treated.
Photofabulous Treatment Benefits
Collagen
Naturally stimulates new collagen production and elastic fibers
Vascular Lesions
Remove Unwanted vascular lesions
Texture
Improves texture and tone
Pigmentation
Remove Unwanted pigmentation
Redness
Decrease Redness

18.9
Billion
Global value of non-invasive aesthetic treatment market
13.8%
Compound annual growth rate of non-invasive treatments from 2021-2028
Source: https://www.grandviewresearch.com/industry-analysis/non-invasive-aesthetic-treatment-market
280,815
Non-surgical skin treatments performed with IPL & combination lasers in the United States in 2020
86.4%
Over 100 Dermatologists surveyed noted their patients citing video-conferencing calls as a reason to seek cosmetic treatments
Source: https://www.sciencedirect.com/science/article/pii/S2352647521000137
Two is greater than one

Better Patient Outcomes
Stellar M22 Photofabulous is a gold standard treatment that addresses the early signs of aging that provides noticeable results for pigmentation, age/sun spots, fine lines, and overall skin appearance.*
Satisfy Consumer Demand
Demand has increased for consumers seeking treatments that address multiple skin conditions in one session**
Efficient
Multiple skin conditions treated in one session
Increase Revenue
Your clinic benefits from providing a sequential treatment that delivers visible results with minimal pain or downtime
*Typically, about 3 sessions are needed to have visible improvement in the skin texture and fine lines.
Optimal results are achieved after 3-5 sessions in 2–6-week intervals.
Let’s Talk Results!

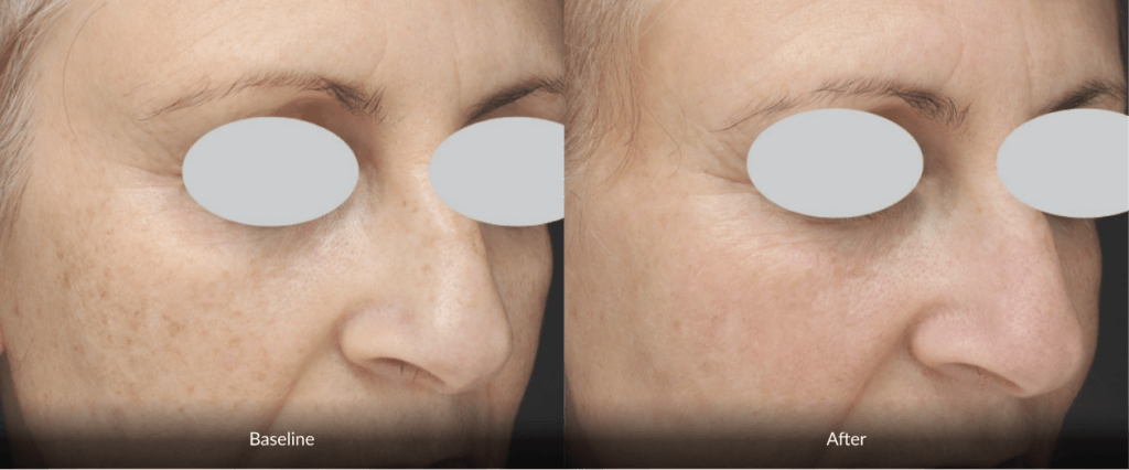
Courtesy of Jennifer Deaver-Peterson, MD

Courtesy of Matteo Tretti Clementoni, MD

Courtesy of Matteo Tretti Clementoni, MD

In-House Clinic

In-House Clinic

Courtesy of Diana Demidion, MD

Courtesy of Matthew Knight, MD

Courtesy of Matthew Knight, MD

Courtesy of Gerd Kautz, MD
What our Doctors Have to Say
Technology
Stellar M22™
Lumenis’s Stellar M22 is a powerful modular, multi-application platform that addresses over 30 skin conditions, including hair removal. Trusted by doctors around the globe, Stellar M22 delivers excellent patient outcomes and empowers practitioners’ to safely and effectively treat different indications in all skin types, ages and gender.
-Photofabulous treatment demonstrates two technologies sequentially:
IPL (Intense Pulsed Light) and ResurFX™ non-ablative.
-IPL is still considered the gold standard for photofacial™ treatments because of its optimal combination of efficacy, safety and versatility in wavelengths that can treat the largest variety of indications.
Stellar’s IPL handpiece has 9 Expert Filters and 3 SapphireCool™ lightguides, enabling 27 different combinations to treat 23 clinical indications.
– ResurFX™ it’s a fractional non-ablative skin resurfacing, with a technology of 1565 nm Er: Glass fiber laser- a true fractional non-ablative skin resurfacing for treating dyschromia, scars, striae, and wrinkles.
With the ResurFX, High precision micro-beams create narrow, deep columns of tissue coagulation in the epidermis and dermis, stimulating a natural healing response.
It’s extremely versatile- choose from over 600 combinations of area shape, size and density for optimal treatment, whether a single lesion or the whole face- with a state of the art CoolScan™ technology and contact cooling for increased patient comfort.

How Does it Work?
Photofabulous technology
By sequentially administering both the IPL and ResurFX technologies in the same treatment session, skin pigmentation and texture can be addressed. Stellar M22 IPL technology removes unwanted pigmentation and vascular lesions from the skin, while the ResurFX fractional laser stimulates the production of new collagen and elastin fibers in the deeper layers of the skin. Stimulating new collagen production is the key to a more radiant, youthful-looking skin.
Laser microbeams heat the deeper layers of the skin to stimulate collagen and elastin fibers, and intense pulses of light address unwanted pigmentation and vascular lesions

The treatment
To ensure utmost comfort, your physician will typically apply a topical numbing cream before treatment and/or use air cooling during treatment. Depending on your specific concern, you can expect the session to last 15-30 minutes. You may experience a warm or prickling sensation as the laser is applied to the skin. But the treatment is gentle and you should not feel uncomfortable.
The advanced scanner delivers the laser beams in a precise manner with integrated cooling to ensure maximum comfort

Related Products

Stellar M22™
Intelligent skincare platform for the treatment of over 30 skin conditions and hair removal.
**Sources
based on the stat above about IPL and combination treatments being in demand
https://www.coherentmarketinsights.com/market-insight/combination-treatment-in-aesthetics-market-2066
PB-00044270 Rev A